Hofteleddsdysplasi (HD)

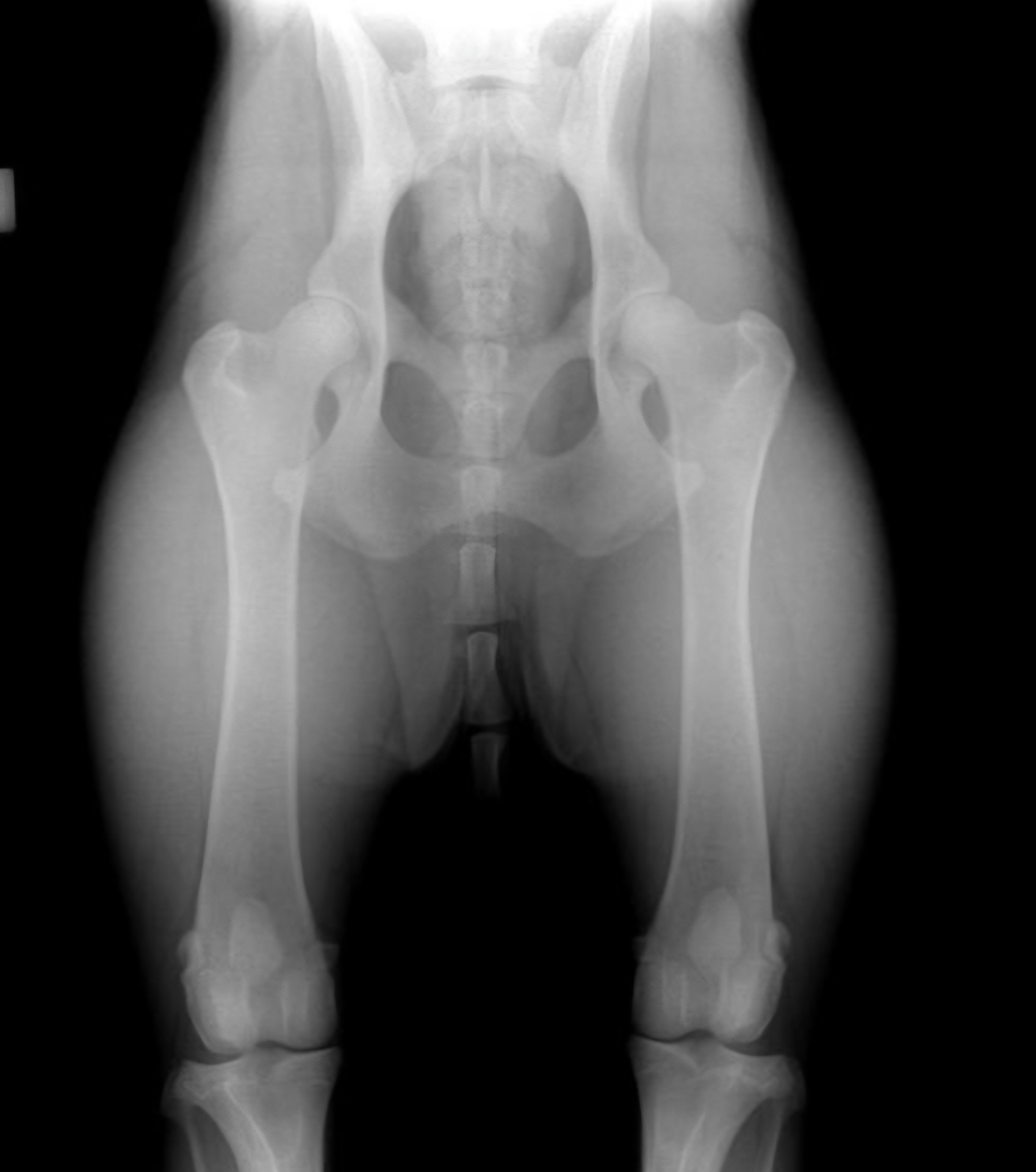
Hofteleddsdysplasi er en utviklingsfeil i hofteleddet, der lårhodet (øverst på lårbenet) ikke passer sammen med hofteskåla. Dette kan medføre unormal bevegelighet og slitasje i leddet, slik at leddbrusken slites, og forkalkninger oppstår.

HD utvikles mens hunden vokser, og skyldes en kombinasjon av arv og miljø. Graderingen av HD i NKKs screeningprogram er gjort ut fra røntgenfunn. Hundene må være ferdig utvokst i bekkenet før røntgenbilder kan tas og avleses av NKK. Kun veterinærer som har gyldig avtale med NKK om røntgenfotografering for sentral avlesning, kan få avlest bilder i NKK.

Målet med screeningprogrammet

Avlesningen av HD-bilder et ledd i et screeningprogram, hvor målet er å redusere både forekomsten og alvorlighetsgraden av HD i hundepopulasjonen. Ved å gi enkeltindivider en HD-grad, får man både kartlagt forekomsten av HD i de ulike rasene, og satt et mål på avlsverdien til hvert enkelt dyr, med tanke på HD. Individenes HD-grad vil til en viss grad også gi eier en pekepinn på hundens fremtidige bruksegenskaper og helsetilstand, men dette er ikke hovedmotivasjonen bak screeningprogrammet.

Hvilke hunder kan få HD-bilder avlest av NKK?
For at NKK skal kunne avlese røntgenbildene, må følgende være i orden*
•Hunden må være registrert i NKK
- Importerte hunder må være omregistrert til NKK
- Hunder som ikke har offisiell stamtavle, må registreres i NOX-registeret
• Røntgenbildene må være tatt i Norge, av en veterinær med gyldig avtale med NKK.
• Hunden må ha nådd obligatorisk røntgenalder
•  Bildene må følge NKKs krav til merking, kvalitet og posisjonering
- Veterinær er ansvarlig for dette
- Hvis innsendte bilder ikke innfrir kravene, må veterinær sende inn nye bilder (evt. må hunden ta nye røntgenbilder)

For importerte hunder, eller utenlandsk eide hunder som brukes i avl, gjelder egne regler. Les mer om dette her.

*Hunder med kliniske symptomer på HD kan få røntgenbilder avlest av NKK uten å møte alle krav. Les mer om dette her.

Alder for røntgenfotografering er minimum 12 mnd. på de fleste raser.

Følgende store raser må være minimum 18 måneder:
Bullmastiff, bordeaux dogge, grand danois, leonberger, maremma, engelsk mastiff, napolitansk mastiff, newfoundlandshund, landseer, pyreneerhund og sanktbernhardshund. Husk at du før fotografering må signere på at alle korrekte røntgenbilder skal sendes inn til NKK, uansett om det ser ut som hunden får en «god» eller «dårlig» diagnose. Av hensyn til avlsarbeidet i klubbene er det svært viktig at også «dårlige» diagnoser registreres, selv om hunden selv ikke skal brukes i avl.
Bestilling av rekvisisjon for HD-bilder: Se denne siden.

Krav til kjent status

Enkelte raser har krav til kjent HD-status hos foreldredyr før valper kan registreres i NKK. Hvilke raser dette gjelder, kan du se her

Resultater HD
A = Fri
B = Fri
C = Svak grad
D = Middels grad
E = Sterk grad

I dokumentet Kriterier for HD-graderkan du ser mer om kriteriene for de ulike diagnosene.

Det er i strid med de etiske grunnregler for avl og oppdrett å avle på hunder med sterk grad av hofteleddsdysplasi eller albueleddsdysplasi (HD grad E eller AD grad 3).

Klage/ny vurdering

Ble ikke røntgenresultatet til hunden slik du forventet? Ønsker du å klage, eller få en ny vurdering av hunden? Les mer her.

HD-indeks

For tallmessig store raser hvor en stor andel hunder har HD-grader, beregnes HD-indeks. Indeksen beregnes ut fra både hundens egen HD-grad og røntgenfotograferte slektningers HD-grader. Les mer om HD-indeks her.

Symptomer på HD

Les mer om symptomer på HD her. Hunder med kliniske symptomer på HD kan få røntgenbilder avlest av NKK uten å møte alle krav. Les mer om dette her.

Genetikk og avlsplanlegging – HD

Hvor stor rolle spiller arv og genetikk i forhold til miljø? Hvordan få avlsmessig framgang for HD? Les mer her.

Veterinærer

Spiller det noen rolle hvilken veterinær som tar røntgenbildene? NKKs HD-gruppe har dykket ned i materien. Les om veterinærenes rolle her.

Avlesere

Kvalitetssikring av røngtenavleserne og deres avlesninger finner du her.

Artikler om HD

På en egen side finner du nyttige artikler om HD generelt.

Rapport om NKKs HD-screening

NKKs prosjektgruppe for HD har ferdigstilt sitt arbeid, og levert en omfattende sluttrapport med mye god informasjon. Hele rapporten, og mer om gruppas arbeid, kan du lese her.

NKK og FCI

NKK er medlem av den internasjonale kennelføderasjonen Fédération Cynologique Internationale (FCI) sammen med ca. 80 andre medlemsland, og er dermed forpliktet til å følge FCIs regelverk som gjelder HD-screening. Mindre nasjonale tilpasninger kan gjøres, men kun der det fremkommer av regelverket.